Clinical efficacy of epidural injection of betamethasone in dogs with lumbosacral stenosis
- Authors: Yagnikov S.A.1,2, Barseghyan L.S.1
-
Affiliations:
- VetProfAlliance Veterinary Surgery Centers
- RUDN University
- Issue: Vol 19, No 3 (2024)
- Pages: 517-529
- Section: Veterinary science
- URL: https://agrojournal.rudn.ru/agronomy/article/view/20070
- DOI: https://doi.org/10.22363/2312-797X-2024-19-3-517-529
- EDN: https://elibrary.ru/CLBMOC
- ID: 20070
Cite item
Full Text
Abstract
Results of conservative treatment of degenerative lumbosacral stenosis in dogs are presented. For the first time, clinical efficacy of epidural injection of anti-inflammatory drug Diprospan (betamethasone) in dogs with lumbosacral stenosis was shown. 32 animals were treated at VetProfAlliance Veterinary Surgery Center from 2023 to June 2024. Comparable data in case histories and feedback for evaluating treatment outcomes were established with the owners of 22 dogs. 22 case histories were analyzed. To exclude possible concomitant orthopedic pathologies, X-ray examination of knee and hock joints in mediolateral projection and hip joints in ventrodorsal projection was performed. Patients with discospondylitis at lumbosacral level were excluded from the study group. All dogs with lumbosacral stenosis belonged to large and giant dog breeds. The age of clinical symptoms is from 6 to 11 years old, and breed variability to this disease was also noted. Males predominate by gender - 59% (13/22). At the same time, 69% (9/13) of males were castrated and 78% (7/9) of females were sterilized. 32% (7/22) of dogs in this group were obese, and 50% (11/22) were overweight. Studies have found that Diprospan injections with 20…30 days interval can completely neutralize neurological symptoms in 50% of dogs with 1…4 degrees of neurological disorders caused by lumbosacral stenosis. In 22 out of 32 dogs, the result of treatment was assessed as positive with improvement in condition or achievement of complete remission.
Full Text
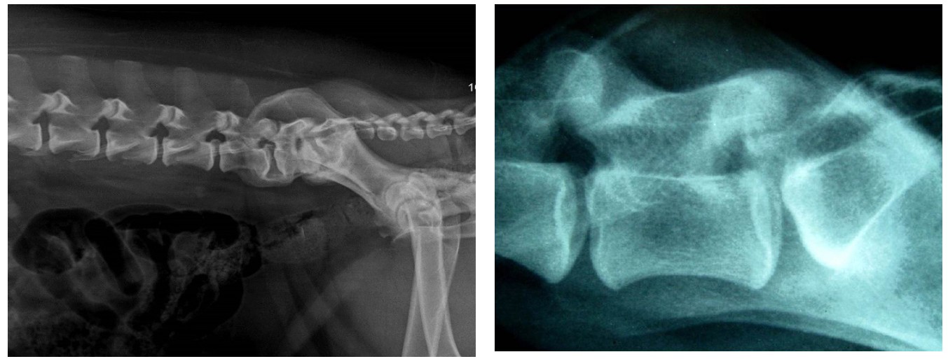
Fig. 1. Radiograph of the dog’s vertebral column in lateromedial projection on the right side: narrowing of the intervertebral space between the bodies of vertebrae L7-S1, ventral spondylosis of L6-L7-S1, sclerosis of the end plates of caudal pole of L6—7 and cranial pole of S1, ventral displacement of S1—3
Source: created by S.A. Yagnikov, L.S. Barsegyan
Fig. 2. MRI of lumbosacral spine of dog: sagittal (a) and segmental (б) section. Protrusion of intervertebral disc L7-S1 with migration of fibrous ring into spinal canal. Foraminal stenosis with compression of spinal nerves at L7-S1 level
Source: created by S.A. Yagnikov, L.S. Barsegyan
Changes in neurological deficit in dogs on the 30th–40th day after a single or double epidural injection of Diprospan
№ | Breed | Age, years | Body weight, kg | Gender | Location of intervertebral disc protrusion | Degree of neurological disorders before treatment | Degree of neurological disorders after treatment | Remission at the time of last contact with the owner, months |
1 | German Shepherd | 8 | 45 | Female | L7-S1 | 3 | no | 7 |
2 | Cane Corso | 10 | 48 | Female | L7-S1 | 4 | 2 | 6 |
3 | Bernese Sinnenhund | 6 | 52 | Female | L7-S1 | 3 | 2 | 4 |
4 | Mixed breed | 7 | 36 | Male | L7-S1 | 4 | no | 8 |
5 | Mixed breed | 10 | 38 | Male | L7-S1 | 3 | no | 12 |
6 | Laika | 11 | 28 | Female | L7-S1 | 3 | 1 | 7 |
7 | Pit Bull Terrier | 11 | 25 | Male | L7-S1 | 2 | no | 3 |
8 | German Shepherd | 8 | 39 | Female | L7-S1 | 2 | no | 4 |
9 | Pit Bull Terrier | 9 | 25 | Male | L7-S1 | 2 | 2 | 8 |
10 | Cane Corso | 6 | 54 | Female | L7-S1 | 3 | no | 14 |
11 | Mixed breed | 8 | 34 | Male | L7-S1 | 2 | no | 3 |
12 | Drahthaar | 7 | 34 | Male | L7-S1 | 3 | 2—1 | 5 |
13 | Kurzhar | 6 | 37 | Male | L7-S1 | 2 | 1 | 2.5 |
14 | Weimaraner | 8 | 40 | Female | L7-S1 | 4 | 2 | 3 |
15 | English Setter | 10 | 33 | Male | L7-S1 | 3 | 1—2 | 15 |
16 | Hungarian Vyzgla | 10 | 30 | Female | L7-S1 | 2 | no | 2 |
17 | Rottweiler | 8 | 52 | Female | L7-S1 | 4 | 2 | 4 |
18 | American Akita | 7 | 43 | Male | L7-S1 | 3 | 2 | 5 |
19 | Samoyed | 7 | 30 | Male | L7-S1 | 3 | 1 | 10 |
20 | Labrador | 7 | 39 | Male | L7-S1 | 2 | no | 3 |
21 | Labrador | 6 | 40 | Male | L7-S1 | 1 | no | 7 |
22 | Central Asian Shepherd | 8 | 52 | Male | L7-S1 | 2 | no | 4 |
About the authors
Sergey A. Yagnikov
VetProfAlliance Veterinary Surgery Centers; RUDN University
Author for correspondence.
Email: yagnikovorc@yandex.ru
ORCID iD: 0000-0003-2567-272X
SPIN-code: 3104-7566
Doctor of Veterinary Sciences, Professor, Head of VetProfAlliance Veterinary Surgery Centers; Professor, Department of Veterinary Medicine, RUDN University
6 Markova st., Chekhov, 142306, Russian Federation; 6 Miklukho-Maklaya st., Moscow, 117198, Russian FederationLusine S. Barseghyan
VetProfAlliance Veterinary Surgery Centers
Email: vetprophy@mail.ru
ORCID iD: 0009-0007-0329-9748
Candidate of Veterinary Sciences, Veterinarian-surgeon
6 Markova st., Chekhov, 142306, Russian FederationReferences
- Suwankong N, Meij BP, Voorhout G, De Boer AH, Hazewinkel HAW. Review and retrospective analysis of degenerative lumbosacral stenosis in 156 dogs treated by dorsal laminectomy. Veterinary and Comparative Orthopaedics and Traumatology. 2008;21(3):285-293. doi: 10.1055/s-0037-1617374
- Worth AJ, Hartman A, Bridges JP, Jones BR, Mayhew JIG. Computed tomographic evaluation of dynamic alteration of the canine lumbosacral intervertebral neurovascular foramina. Veterinary surgery. 2017;46(2):255-264. doi: 10.1111/vsu.12599
- Worth AJ, Thompson DJ, Hartman AC. Degenerative lumbosacral stenosis in working dogs: current concepts and review. New Zealand Veterinary Journal. 2009;57(6):319-330. doi: 10.1080/00480169.2009.64719
- Worth A, Meij B, Jeffery N. Canine degenerative lumbosacral stenosis: prevalence, impact and management strategies. Veterinary Medicine: research and reports. 2019;10:169-183. doi: 10.2147/VMRR.S180448
- Scharf G, Steffen F, Grüenenfelder FI, Morgan JP, Flückiger M. The lumbosacral junction in working German Shepherd dogs - neurological and radiological evaluation. Journal of Veterinary Medicine Series A. 2004;51(1):27-32. doi: 10.1111/j.1439-0442.2004.00587.x
- Suwankong N, Voorhout G, Hazewinkel HA, Meij BP. Agreement between computed tomography, magnetic resonance imaging, and surgical findings in dogs with degenerative lumbosacral stenosis. Journal of the American Veterinary Medical Association. 2006;229(12):1924-1929. doi: 10.2460/javma.229.12.1924
- Henninger W, Werner G. CT examination of the canine lumbosacral spine in extension and flexion. Part 1: Bone window. Eur J Companion Anim Pract. 2003;13(2):215-226.
- Henninger W, Werner G. CT examination of the canine lumbosacral spine in extension and flexion. Part 2: Soft-tissue window. Eur J Companion Anim Pract. 2003;13(2):227-233.
- Jones JC, Cartee RE, Bartels JE. Computed tomographic anatomy of the canine lumbosacral spine. Veterinary Radiology & Ultrasound. 1995;36(2):91-99. doi: 10.1111/j.1740-8261.1995.tb00223.x
- Mayhew PD, Kapatkin AS, Wortman JA, Vite CH. Association of cauda equina compression on magnetic resonance images and clinical signs in dogs with degenerative lumbosacral stenosis. Journal of the American Animal Hospital Association. 2002;38(6):555-562. doi: 10.5326/0380555
- McCormick Z, Kennedy DJ, Garvan C, Rivers E, Temme K, Margolis S. Comparison of pain score reduction using triamcinolone vs. betamethasone in transforaminal epidural steroid injections for lumbosacral radicular pain. American Journal of Physical Medicine & Rehabilitation. 2015;94(12):1058-1064. doi: 10.1097/PHM.0000000000000296
- Ness MG. Degenerative lumbosacral stenosis in the dog: a review of 30 cases. Journal of Small Animal Practice. 1994;35(4):185-190. doi: 10.1111/j.1748-5827.1994.tb01683.x
- Roelofs P, Deyo RA, Koes BW, Scholten RJ, Van Tulder MW. Nonsteroidal anti-inflammatory drugs for low back pain: an updated Cochrane review. Spine. 2008;33(16):1766-1774. doi: 10.1097/BRS.0b013e31817e69d3
- Sayegh FE, Kenanidis EI, Papavasiliou KA, Potoupnis ME, Kirkos JM, Kapetanos GA. Efficacy of steroid and nonsteroid caudal epidural injections for low back pain and sciatica: a prospective, randomized, double-blind clinical trial. Spine. 2009;34(14):1441-1447. doi: 10.1097/BRS.0b013e3181a4804a
- Scott HW, McKee WM. Laminectomy for 34 dogs with thoracolumbal disc disease and loss of deep pain perception. Journal of Small Animal Practice. 1999;40(9):417-422. doi: 10.1111/j.1748-5827.1999.tb03114.x
- Staal JB, de Bie R, de Vet H, Hildebrandt J, Nelemans P. Injection therapy for subacute and chronic low-back pain. Cochrane Database of Systematic Reviews. 2008;(3): CD001824. doi: 10.1002/14651858.CD001824.pub3
- Stolke D, Sollmann WP, Seifert V. Intra-and postoperative complications in lumbar disc surgery. Spine. 1989;14(1):56-59.
- La Rosa C, Morabito S, Carloni A, Davini T, Remelli C, Specchi S, et al. Prevalence, MRI findings, and clinical features of lumbosacral intervertebral disc protrusion in French Bulldogs diagnosed with acute thoracic or lumbar intervertebral disc extrusion. Frontiers in Veterinary Science. 2023;10:1302418. doi: 10.3389/fvets.2023.1302418
- Aprea F, Vettorato E. Epidural steroid and local anaesthetic injection for treating pain caused by coccygeal intervertebral disc protrusion in a dog. Veterinary Anaesthesia and Analgesia. 2019;46(5):707-708.
- Becker C, Heidersdorf S, Drewlo S, de Rodriguez SZ, Krämer J, Willburger RE. Efficacy of epidural perineural injections with autologous conditioned serum for lumbar radicular compression: an investigator-initiated, prospective, double-blind, reference-controlled study. Spine. 2007;32(17):1803-1808. doi: 10.1097/BRS.0b013e3181076514
- Bussières MP, Grasso S, Jull P. Preliminary evaluation of an indwelling epidural catheter for repeat methylprednisolone administration in canine lumbosacral stenosis. The Canadian Veterinary Journal. 2024;65(5):462-472.
- De Decker S, Wawrzenski LA, Volk HA. Clinical signs and outcome of dogs treated medically for degenerative lumbosacral stenosis: 98 cases (2004-2012). J Am Vet Med Assoc. 2014;245(4):408-413. doi: 10.2460/javma.245.4.408
- Dernek B, Aydoğmuş S, Ulusoy I, et al. Caudal epidural steroid injection for chronic low back pain: a prospective analysis of 107 patients. Journal of Back and Musculoskeletal Rehabilitation. 2022;35(1):135-139. doi: 10.3233/BMR-200262
- Vilkovysky IF, Vatnikov YA, Yagnikov SA, Shpinkov DV, Rusnak IA. Surgical correction of degenerative lumbosacral stenosis in dogs. Bulliten KrasSAU. 2022;(12):161-167. (In Russ.). doi: 10.36718/1819-4036-2022-12-161-167
- Vilkovysky IF. Dynamics of cerebrospinal fluid in correction of degenerative lumbosacral stenozis during the postoperative period in dogs. RUDN Journal of Agronomy and Animal Industries. 2022;17(3):382-391. (In Russ.). doi: 10.22363/2312-797X-2022-17-3-382-391
- Chambers J. Degenerative lumbosacral stenosis in dogs. Vet Med Rep. 1989;1(2):166-180. doi: 10.1016/j.cvsm.2010.05.006
- Janssens L, Beosier Y, Daems R. Lumbosacral degenerative stenosis in the dog. Veterinary and Comparative Orthopaedics and Traumatology. 2009;22(6):486-491. doi: 10.3415/VCOT-08-07-0055
- Lee GY, Lee JW, Lee E, Yeom JS, Kim KJ, Shin HI, et al. Evaluation of the efficacy and safety of epidural steroid injection using a nonparticulate steroid, dexamethasone or betamethasone: a double-blind, randomized, crossover, clinical trial. The Korean Journal of Pain. 2022;35(3):336-344. doi: 10.3344/kjp.2022.35.3.336
- De Risio L, Sharp NJ, Olby NJ, Muñana KR, Thomas WB. Predictors of outcome after dorsal decompressive laminectomy for degenerative lumbosacral stenosis in dogs: 69 cases (1987-1997). Journal of the American Veterinary Medical Association. 2001;219(5):624-628. doi: 10.2460/javma.2001.219.624
- Liotta AP, Girod M, Peeters D, Sandersen C, Couvreur T, Bolen G. Clinical effects of computed tomography - guided lumbosacral facet joint, transforaminal epidural, and translaminar epidural injections of methylprednisolone acetate in healthy dogs. American Journal of Veterinary Research. 2016;77(10):1132-1139. doi: 10.2460/ajvr.77.10.1132
Supplementary files












